Save
Ask
Tour
Hide
$175,000
78 Days On Site
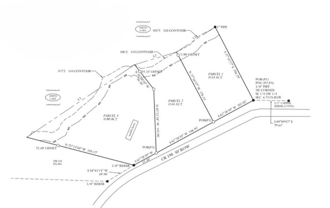
Lot 2 Co Rd 198Crane Hill, AL
For Sale|Land|Active
County:
Cullman
Due to the health concerns created by Coronavirus we are offering personal 1-1 online video walkthough tours where possible.
Call Now: 256-739-1389
Is this the listing for you? We can help make it yours.
256-739-1389



Save
Ask
Tour
Hide
Lot 2 is a rare and unique opportunity on the serene shores of Crooked Creek on Smith Lake. This unrestricted lake lot offers unmatched flexibility, allowing you to build your dream home, set up an RV for weekend retreats, or even create a rental property. With no zoning restrictions, you have the freedom to use the land however you desire. Lot 2 offers 0.44 acres with 106 feet of shoreline.
Save
Ask
Tour
Hide
Listing Snapshot
Price
$175,000
Days On Site
78 Days
Bedrooms
N/A
Inside Area (SqFt)
N/A
Total Baths
N/A
Full Baths
N/A
Partial Baths
N/A
Lot Size
0.44 Acres
Year Built
N/A
MLS® Number
525625
Status
Active
Property Tax
$809.64
HOA/Condo/Coop Fees
N/A
Sq Ft Source
N/A
Friends & Family
Recent Activity
| 3 months ago | Listing updated with changes from the MLS® | |
| 3 months ago | Listing first seen on site |
General Features
Acres
0.44
Save
Ask
Tour
Hide
Exterior Features
Lot Features
Waterfront
Waterfront
Yes
Schools
School District
Unknown
Elementary School
Cold Springs
Middle School
Cold Springs Middle
High School
Cold Springs
Listing courtesy of Lake League Real Estate
IDX information is provided exclusively for consumers’ personal, non-commercial use, and may not be used for any purpose other than to identify prospective properties consumers may be interested in purchasing.This data is deemed reliable but is not guaranteed accurate by the MLS. Source: Cullman Association of Realtors MLS
IDX information is provided exclusively for consumers’ personal, non-commercial use, and may not be used for any purpose other than to identify prospective properties consumers may be interested in purchasing.This data is deemed reliable but is not guaranteed accurate by the MLS. Source: Cullman Association of Realtors MLS
Neighborhood & Commute
Source: Walkscore
Disclosure: Community information and market data powered by Constellation Data Labs. Information is deemed reliable but not guaranteed.
Save
Ask
Tour
Hide

Did you know? You can invite friends and family to your search. They can join your search, rate and discuss listings with you.